首頁 -> 國際
颱風卡努逼近沖繩 那霸機場所有航線取消分享到:
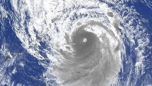
香港中通社8月1日電 據日本《朝日新聞》8月1日報道,超強颱風卡努以每小時20公里的速度從日本南部向西北偏西方向移動,那霸機場宣布所有航線停航,當局發出暴風及巨浪警戒,並下令民眾疏散。
大批旅客滯留在沖繩那霸機場 視頻截圖 日本氣象廳1日上午,向沖繩和其他地區發布風暴警報,卡努預計將於當日晚上最接近沖繩島和鹿兒島奄美地區。那霸機場宣布所有航線停航,包括全日空和日航在內的日本各大航空公司也已決定取消所有往返沖繩地區的航班。 當局發出暴風巨浪及風暴潮嚴重警戒,同時發出山泥傾瀉及水浸警戒,並預料沖繩地區24小時雨量將達150毫米。 受卡努逼近影響,沖繩島的宇流麻市及名護市等六個市及町向民眾發出避難令或疏散令,呼籲民眾離開有危險的地方。(完) 【編輯:梅婉潼】
|
視頻更 多
【你不知道的香港】香港鬧市中的這座百年古堡竟然是這個用途?!
66歲長者看完即心動!走進香港首個“長者友善”認證樓宇
終可“回家”!香港宏福苑居民分批上樓執拾 有人拿回畫作
50分26秒,超越人類紀錄!第二屆人形機器人半馬的冠軍秘訣是什麼?
潮汕非遺走進香港 10歲英歌舞隊員:想把中國文化帶向世界
2026香港金像獎:梁家輝五封影帝 廖子妤首奪影后
南非隊首奪香港國際七人欖球賽2026冠軍 港隊成功衛冕銀劍賽
來論更 多評論更 多
論壇更 多閱讀排行 |










