港人提名的“點心”成颱風新名!揭秘颱風如何命名香港新聞網3月17日電 (文 黃璇)“尋晚食咗點心,聽日唔知會唔會打風?”(昨晚吃了點心,明天不知道會不會颳颱風?)這句原本只會在茶樓出現的玩笑,或會在2030年左右變成香港市民的真實對白。 在剛結束的世界氣象組織(WMO)颱風委員會第58屆會議,一項通過讓港人感到親切:由香港市民在2023年提名、得票逾1.4萬的“點心”(Dim-sum)正式獲採納為新的颱風名字,取代因造成嚴重破壞而被永久除名的“萬宜”。
(香港新聞網製圖)
2026年3月,颱風委員會第58屆會議除名了8個熱帶氣旋名稱,並公布了相應的8個新替換名稱。(資料來源:颱風委員會) 消息傳出,社交媒體上一片討論:“希望‘點心’到訪時溫柔點。”這背後,是一份長達26年、記錄著西北太平洋風雲變幻的命名榜單,以及香港市民與颱風之間的複雜情緒——名字可以“盞鬼”(意指有趣、鬼馬),風暴不會溫柔。每一次“打風”,市民心中最樸素的願望,從來都是只求平安,無災無難。 自2000年開始,颱風委員會便使用一套由區內14個成員提供、共140個具地方特色名字的名單,為西北太平洋及南海的熱帶氣旋命名。這些名字輪流使用,每年約消耗25個,大約5.6年一個循環。 這140個名字大多“溫柔”——動物、植物、星象、人名、神話人物,聽上去都天真無害。但當一個颱風因造成重大人命傷亡或經濟損失而被視為“聲名狼藉”時,它就會被永久除名,由原提供國或地區提交新名字填補空缺。 兩個“十號波”惡名被“永久拉黑” 2017年的“天鴿”、2018年的“山竹”,都因重創華南沿岸而被永遠釘在氣象史的“恥辱柱”上。如今,這份“黑名單”上又添了幾個與香港息息相關的惡名。 本次會議上,颱風委員會一口氣通過將8個在2025年造成重大災情的颱風名稱除名。其中,讓香港市民記憶猶新的“韋帕”和“樺加沙”雙雙上榜——它們去年分別為香港帶來了兩次十號風球,狂風暴雨的畫面至今歷歷在目。
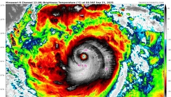
樺加沙成功完成眼壁置換後,“進化”出更巨型的風眼,面積相當於三個香港。(資料圖片) 2025年9月,“樺加沙”橫過南海時,中心附近最高持續風速達到每小時230公里,被稱為當年西太平洋“風王”。最終,“樺加沙”不僅在香港留下十號風球,還在台灣花蓮造成嚴重災情——洪水漫過馬太鞍溪,導致光復鄉多人傷亡。 與它們一同被除名的,還包括由香港提供的“鳳凰”——它在2025年11月重創菲律賓,造成至少25人死亡、逾140萬人撤離。
每一次“打風”,市民心中最樸素的願望,從來都是只求平安,無災無難。(香港中通社資料圖)
樺加沙襲港期間,港島南區的富麗敦海洋公園酒店,大堂多塊玻璃門被洪水沖致爆裂,酒店大堂及門外車路一片泥濘。(資料圖片) 點心“打敗”麻雀水仙,2030年登場 名字被除名,就需要遞補。按照規則,提供被除名名字的成員需提交新名供大會審批。香港天文台依循2023年“熱帶氣旋名字網上投票”結果,提名了得票第四至六位的“點心”(14,354票)、“麻雀”(13,662票)和“水仙”(13,463票)。最終,“點心”獲採納,成為繼“鴛鴦”之後,第二個登上颱風榜單的香港食物名稱。 翻看當年的投票榜單,得票前三名分別是“奶茶”(15,750票)、“青馬”(15,127票)和“火龍”(14,810票)。其中“青馬”已於2024年獲採納,取代被除名的“馬鞍”。 不過,要等到首個“點心風暴”襲港,還需耐心。由於命名表有140個名字,而“萬宜”在2024年剛使用過,按5.6年循環推算,大約要到2030年,“點心”才會正式登場。 “小龍”“霓虹”“醒獅”誰將接棒? “點心”的命運已定,但另一個懸念仍在:誰將填補被除名的“鳳凰”留下的空缺? 按程序,天文台將提名2023年投票中第七至九位的名字——“小龍”(13,131票)、“霓虹”(12,713票)和“醒獅”(12,524票)。其中,“小龍”致敬已故武打巨星李小龍,被外界看高一線。最終結果將在明年颱風委員會會議上揭曉。 回顧香港提供的10個名字——鳳凰、青馬、珊珊、白海豚、玲玲、榕樹、萬宜、鴛鴦、彩雲、獅子山,每一個都承載著香港的地標、文化或自然印記。但當其中兩個(萬宜、鳳凰)因重創菲律賓而被除名,另兩個(韋帕、樺加沙)雖非港名卻也讓香港受重大影響,這份榜單某種意義上已成為半部香港災害史的索引。 未來,當“點心”真的襲港,願它如名字般“溫柔”。畢竟,香港市民對“打風”的期望,從來都是:“八號波可以,搞破壞就不好了。”(完) 【編輯:黃璇】
|














