首頁 -> 頭條
颱風“鳳凰”將正面登陸台灣分享到:
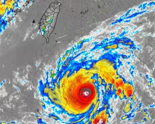
香港中通社11月9日電 台北消息:颱風“鳳凰”將襲台,台灣氣象署9日表示,預計10日午後發布海上警報,11日發布陸上警報,未來一週大台北、宜花地區需防暴雨以上降雨。 台氣象署預報員張承傳表示,目前“鳳凰”強度達“中級颱風”上限,暴風半徑約250公里,預估9日晚會通過呂宋島,11日北轉、往東北方向移動接近台灣。
圖為受颱風影響的台灣民眾。香港中通社圖片 氣象署預計在10日下午或傍晚發布海上警報,11日上午發布陸上警報,依當前資料預測,“鳳凰”可能在12日晚間至13日清晨登陸台灣。 張承傳指出,12日“鳳凰”接近台灣陸地,中南部、花東地區需注意大雨或暴雨;13日轉偏東北風,北部地區有較大雨勢。(完) 【編輯:李濼】
|
視頻更 多
【你不知道的香港】香港鬧市中的這座百年古堡竟然是這個用途?!
66歲長者看完即心動!走進香港首個“長者友善”認證樓宇
終可“回家”!香港宏福苑居民分批上樓執拾 有人拿回畫作
50分26秒,超越人類紀錄!第二屆人形機器人半馬的冠軍秘訣是什麼?
潮汕非遺走進香港 10歲英歌舞隊員:想把中國文化帶向世界
2026香港金像獎:梁家輝五封影帝 廖子妤首奪影后
南非隊首奪香港國際七人欖球賽2026冠軍 港隊成功衛冕銀劍賽
來論更 多評論更 多
論壇更 多閱讀排行 |










