超強颱風“樺加沙”逼近 香港各界嚴陣以待分享到:
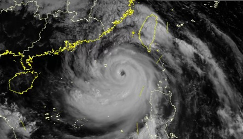
香港中通社9月22日電 超強颱風“樺加沙”將於未來兩日逼近並影響香港,其破壞力預估與以往因造成巨大災損而被除名的颱風“天鴿”“山竹”相若。香港天文台22日召開記者會公佈,考慮23日下午1時至4時改發8號風球。香港各界嚴陣以待。 “樺加沙”集結在香港之東南偏東,預料向西或西北偏西移動,橫過呂宋海峽進入南海北部。天文台預料,“樺加沙”會在24日最接近香港,屆時帶來風速高達210公里/小時的強風暴雨,可能為香港帶來嚴重威脅,屆時離岸及高地或將達颶風。 行政長官李家超已要求各司局長及部門首長不可低估颱風威力,必須做好超前部署,已特別指示保安局提早啟動緊急事故監察及支援中心。 教育局宣佈所有學校明後兩日停課。領導應對極端天氣督導委員會的政務司司長陳國基下午聯同多名官員落區,了解防風措施落實情況。
9月22日晚,一號戒備信號生效下香港維港晚霞絢麗。香港中通社圖片 交通方面,香港巴士將於天文台發出八號信號生效時間前兩小時起調動資源,加強服務應對乘客需求;大部分路線將於生效兩小時後陸續暫停服務。 香港機管局預計,23日下午6時後航班升降大幅減少,24日只有極少量航班可以升降,25日恢復正常運作。機管局會在客運大樓提供充電等設施,客運大樓的商店會部分24小時運作。 23日下午5時起,國泰來往香港國際機場航班會停止運作,預計25日恢復運作,風暴期間料共取消500班航班;香港快運23日至25日有100多班航班取消。 港珠澳大橋應急救援指揮部辦公室在官方微信表示,經粵港澳三地一致協商,港珠澳大橋珠海公路口岸將於23日下午3時起暫停出境通關服務,大橋主橋將同步封閉,解封時間將根據颱風情況另行公告。 23日下午6時後至24日全日,所有來往香港西九龍站及內地站點的高鐵列車班次取消。 此外,渠務署、土木工程拓展署及民政事務總署舉行聯合記者會,將於23日早8時起在全港18區提早開設超過40個臨時庇護中心,如有市民需要提早使用,個別庇護中心22日晚亦可供入住。 記者觀察到,香港市面“搶購潮”再現,大批市民出街提前採購物資。惠康、百佳等超級市場的新鮮蔬菜、鮮肉幾乎售罄,凍貨類肉品相對充足。 幾乎全部高樓大廈都用防風膠帶貼上米字,一樓商鋪紛紛擺上幾層厚的防水包。 陳國基呼籲市民,不要外出追風逐浪,如不聽從警務人員指示,警方會嚴厲執法。他強調,已通知公務員,如不幸地在風暴過後有很多地方出現混亂,需要清理開通要大量人手,就會動員公務員出動,已做好準備。(完) 【編輯:李濼】
|
視頻更 多
【你不知道的香港】香港鬧市中的這座百年古堡竟然是這個用途?!
66歲長者看完即心動!走進香港首個“長者友善”認證樓宇
終可“回家”!香港宏福苑居民分批上樓執拾 有人拿回畫作
50分26秒,超越人類紀錄!第二屆人形機器人半馬的冠軍秘訣是什麼?
潮汕非遺走進香港 10歲英歌舞隊員:想把中國文化帶向世界
2026香港金像獎:梁家輝五封影帝 廖子妤首奪影后
南非隊首奪香港國際七人欖球賽2026冠軍 港隊成功衛冕銀劍賽
來論更 多評論更 多
論壇更 多閱讀排行 |










