首頁 -> 頭條
強颱風蘇拉殺到,台灣下午發陸上警報分享到:
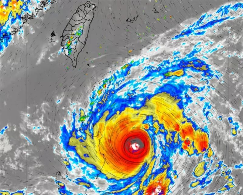
香港新聞網8月29日電 台灣昨日(28日)深夜11時發布發佈了蘇拉颱風的海上警報,台灣氣象局透露,今日(29日)最快下午2點發佈陸上警報,有6個地區風大雨大,需提醒民眾注意安全。
強颱風蘇拉逼近台灣。圖源:天氣風險weather risk 據台灣氣象局最新資料顯示,蘇拉颱風目前中心在鵝鑾鼻東南方海面。蘇拉颱風結構紮實,擁有“小鋼炮”封號,週三、週四將給台灣帶來大雨。今天(29日)下午暴風圈將影響中南部地區,首當其衝就是恆春半島、台東2個地區,台灣中部和南部都有機率被暴風圈涵蓋。 由於明天(30日)是台灣學生的開學日,上述地區是否會有機會放颱風假停班停課?氣象局預報員指出,仍要以各地區政府決定為準。 另外今年第11號颱風“海葵”已於28日生成,目前太平洋海面上共有三個颱風,分別為蘇拉、丹瑞、海葵。台灣氣象專欄“天氣風險weather risk”預測三個颱風可能帶來的影響。
蘇拉颱風風力趨勢圖。圖源:台灣“中央氣象局” 第9號颱風-蘇拉: 30日-31日靠近台灣、暴風圈將掠過南台灣。台灣花東及恆春半島是距離颱風最近的地區。到了9月1日,蘇拉就會逐漸遠離。 第10號颱風-丹瑞: 目前丹瑞颱風位於日本東方海面,不會影響台灣。 第11號颱風-海葵: 目前海葵颱風則是位台灣東方約兩千多公里遠的海面上發展中,將有機會於本周末靠近到日本琉球群島一帶,需要繼續觀察。(完) 【編輯:王軼南】
|
視頻更 多
【你不知道的香港】香港鬧市中的這座百年古堡竟然是這個用途?!
66歲長者看完即心動!走進香港首個“長者友善”認證樓宇
終可“回家”!香港宏福苑居民分批上樓執拾 有人拿回畫作
50分26秒,超越人類紀錄!第二屆人形機器人半馬的冠軍秘訣是什麼?
潮汕非遺走進香港 10歲英歌舞隊員:想把中國文化帶向世界
2026香港金像獎:梁家輝五封影帝 廖子妤首奪影后
南非隊首奪香港國際七人欖球賽2026冠軍 港隊成功衛冕銀劍賽
來論更 多評論更 多
論壇更 多閱讀排行 |









